外科 16 膀胱嵌頓を起こし急性排尿障害を合併した犬の会陰ヘルニアの1例

雑種犬、未去勢オス、10歳7ヶ月。体重18.70kg。8ヶ月前より会陰部が腫脹し排便障害があった。いきんで平べったい便を出していた。2件の前医に「会陰ヘルニアで外科適応だが性格に問題あり手術ができない」といわれた。次第に腫脹したが、本日、急に赤く風船のように大きくなり、いきんでも排便も出ないし、排尿も滴る程度となり苦しそうだ、とのことで来院した。膀胱炎の既往あり、室外離し飼い、混合ワクチンは数年間実施なし、同居動物なし、食事はドッグフードと野菜を与えている。排便障害前は体重20kg以上あった。
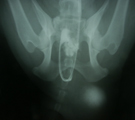
初診時逆行性尿路造影DV像。骨盤外の膀胱に造影剤が貯留していた。 同lateral像。前立腺直前より造影剤が逆流し、前立腺が造影された。 術中所見。会陰ヘルニア整復術。鉗子の先は反転した内閉鎖筋弁。 同。結腸膀胱固定術。下行結腸を左腹壁に固定。膀胱は指で保持。
経過:初診時、直腸温計測できず、心拍数:68/分 呼吸数:28/分。左会陰部が波動感ある著しい腫大を呈していた。試験穿刺を行ったところ尿が360ml採取された。鎮静下にて、尿道カテーテルを介した逆行性尿路造影で前立腺直前に強い抵抗あり尿道内に造影剤が逆流してきた。DV像にてわずかに骨盤外の膀胱に造影剤が貯留しており、lateral像では前立腺管に造影剤が流入し肥大した前立腺が造影された。前立腺直前の尿道が後方に屈曲しヘルニア嚢内に膀胱が嵌頓していることが分かった。排便障害は、前立腺肥大にも原因があると思われた。血液生化学検査でいまだ尿毒症に至っていないことを確認した。ただちに、外科的に左側会陰ヘルニアの整復術、膀胱や結腸嵌頓防止のための腹腔内結腸膀胱固定術、前立腺肥大治療のための去勢術を行った。まず、会陰部切皮前に再度経皮的穿刺し採尿したあと膀胱をヘルニア孔の腹腔側に向け指でできる限り押し入れながら導尿カテーテルを進め、膀胱を環納した。ヘルニア整復は、内閉鎖筋腱を切断し弁状に反転したもの、外肛門括約筋、尾骨筋のそれぞれをマットレス縫合であわせ閉鎖した。結腸膀胱固定術は開腹下にまず下行結腸を左腹壁に3-0Dexonにて4糸の結節縫合にて固定し、その後膀胱の体部を結腸に2糸縫合し反転しないようにした。閉腹後、去勢手術を行った。術後翌日より食欲あり一般状態は改善した。術後8日で痛みなく排便可能となった。飼い主によると、この犬はとても神経質でケージに入ると鳴きわめき、人に咬みつく事があるかもしれないということだったが、手術による整復後、性格は温厚になり、忠実に言うことをきくようになった。術後10日で抜糸完了し退院となった。退院3週間後オーナーより連絡があった。快食快便となり、以前は好物をやっと食べるだけであったが今は何でもすぐに食べ、性格が明るくなった。以前は物陰に隠れたり、人目を盗んで脱走したりするような陰気な性格であったが、退院後そのようなことが全くなくなったという。
コメント:膀胱嵌頓を起こした犬の会陰ヘルニアは緊急処置が必要です。今回は、ヘルニア整復と結腸膀胱固定術で対応しました。他にも前立腺肥大も排便障害の原因となっていました。それにしても慢性排便障害は性格までも陰気にしてしまうようです。このような障害があれば早期に改善することで性格もよくなるかもしれません。入院中、この犬は神経質どころか、おとなしくケージ内で寝ており、お座りやお預けもできるようになって自宅に帰りました。
home|メール
Copyright(c) 2005-2007 Sagamigaoka Animal Clinic. All rights reserved.