気管虚脱の積極的治療法について-外科的治療法VS気道内ステント留置法-
気道内ステント留置法*
城下 幸仁1)
Yukihito SHIROSHITA
*Intratracheal stent placement
1) 相模が丘動物病院 呼吸器科:〒228-0001
連絡先:Tel 046-256-4351 Fax 046-256-6974 E-mail shiroshita@sagamigaoka-ac.com
近年、犬の重度気管虚脱の積極的治療法として気道内ステント留置法が試みられるようになってきた(表1)。外科療法に比し、設置が迅速、非侵襲的、手技も容易、頸部から胸部気管まで広く支持拡張が可能であるという利点がある。初期改善効果に優れ早期退院可能である。気道内ステントには大きく分けて、シリコンステントと自己拡張型金属ステントSelf-expandable metallic stent (SEMS)の2つがある。今回、犬の気管虚脱に対する気道内ステント留置法について、文献と自験例から現時点での考え方を検討する。
| 表1 | 気道内ステント留置の歴史。オンラインデータベース(MEDLINEおよび医学中央雑誌)による。 | |
| 1965年 | MontgomeryによってシリコンTチューブ考案された2 | |
| 1986年 | WallaceらによりはじめてのSEMSであるGianturcoステントが人気管気管支狭窄に利用された4 | |
| 1990年 | Dumon シリコンステントが考案された3 | |
| 1993年 | 岡本らが、Gianturcoステントを犬の気管虚脱治療にはじめて使用7 | |
| 1996年 | 山根が、Gianturcoステントの犬の気管虚脱治療への有用性を報告8 | |
| 室らが胆道拡張用のNitinol SEMSをヒトの気管狭窄の治療にはじめて使用11 | ||
| 2002年 | Gellaschらによる犬の気管虚脱治療にNitinol SEMSを利用したはじめての報告12 | |
| 2004年 | Moritzらにより犬の気管虚脱24例にWallstentを使用13 | |
| 2006年 | Ouelletらが犬の気管虚脱治療にてNitinlステントの破損例を報告20 | |
| 2007年 | 岩田らが犬の気管虚脱に対しUltraflex使用14 | |
| 城下らが犬の気管気管支軟化症にUltrafex Diamondを留置15 | ||
| 2007年 | Wooらが犬で気道内ステント破損例を報告21 | |
| 2008年 | Kimらが犬の気管虚脱4例にcovered SEMSを留置17 | |
| Suraらが犬の気管虚脱12例にSENSを留置19 | ||
| Brownらが犬のステント内肉芽に対しコルヒチンが有効であったと報告22 | ||
代表的な各種ステントの特性と用途
シリコンステント
Tチューブ:気切チューブの一種である。粘膜刺激性が少ない、ステント移動が生じない、気切部チューブから喀痰の吸引が可能、非常に安価、チューブ交換可能であるなどの多くの利点がある。
自己拡張型金属ステント Self-expandable metallic stent (SEMS)
Ultraflex: Nitinolと呼ばれる形状記憶合金の一本編み構造で網目が細やかな円筒形状を呈する。Nitinolは気道にとって優れた特性(弾性と生体適合性)をもち、体温近くでもっとも形状が安定する23,24。
Wallstent:挿入部が8Fr程度のデリバリーシステムの内部先端にステントが収まっているため、気管チューブを介してステントの展開が可能である。
Vet Stent-Trachea:2007年に世界で初めて商品化された犬気管用のSEMSである(図1)。サイズは最大気管径評価で選定し(図2)、透視下で展開する(図3)。
その他の金属ステント
Palmaz stent:バルーンを介してステント拡張留置するシステムである。犬の気管では移動がおこりやすい25。

図1 Vet Stent-Trachea。デバイスが細く挿入しやすく、両端がループ状になり、フレキシブルである。Nitinolで出来ており生体適合性がよい。

図2 最大気管径の評価。全身麻酔下、横臥、透視下に気管チューブを喉頭直下まで引き戻し、食道にサイジングカテーテルを挿入し、バッグ加圧し気道内圧を20-25cmH2Oまで上げたところでX線撮影する。

図3 ステントの展開。透視下で行う。
外科療法vs気道内ステント留置
外科療法は根治的であるが、気管へのプロテーゼ縫着と気管完全分離は反回神経障害による喉頭麻痺や気管全層壊死を引き起こす可能性がある26,27。1987年Finglandによりポリプロピレン製らせんプロテーゼ法(polypropylene spiral prosthesis, PSP)が報告されたが27,28、この方法は、この理由で強く批判された26。Kirbyは、20頭の正常犬にPSP設置のため気管完全分離を施し、4頭が術後3日以内にプロテーゼ設置の有無にかかわらず、全層性の壊死性気管炎と血栓を呈し死亡したことを示した26。気道ステント留置は、気管周囲の結合組織を温存するので気管への血流障害を起こさないし、当然反回神経の障害も起こしえない。本邦において米澤らはPSP 同様の外科療法を考案し良好な成績を収めているが30、Kirbyの実験データがその術式を実施することを踏みとどまらせている。
気道内ステント留置の適応、禁忌、合併症
適応:適切な減量および少なくとも3週間の内科療法を行っても反応しない重度の気管虚脱
禁忌:呼気努力を呈する疾患31
合併症:反応性肉芽、ステントの移動、破損、細菌性気管炎、ステント前後の虚脱形成
ステント留置はあくまで最終手段であり、上記合併症の発症の可能性とその対策に関し飼い主に十分説明し事前に同意を得る必要がある。
合併症の報告
破損:留置後18日14、4週間後18,20、9週間後18、10週間後32、6ヶ月後18、12ヶ月後18、25ヵ月後18に生じた。これらに対し、内科的治療のみ、ステント抜去後再設置、管外ステント、ステント-in-ステントが行われた。
反応性肉芽:留置後24週後21に生じ、これに対しコルヒチン0.03mg/kg PO q24hにてさらに16週後に肉芽消失が確認された。
自験例
今まで5例の重度気管虚脱犬に、シリコンステント4本とSEMS 4本留置してきた。代表的な3例について紹介する。3例とも在宅でネブライゼーションを管理を行っている。
症例1 チワワ、6歳、オス
主訴 突然一晩中嘔吐・咳を繰り返す。
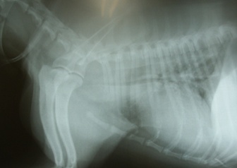
診断 気管虚脱GradeIV(図4)
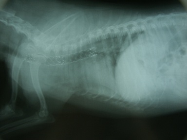
処置:自作シリコンステント(図5)、Wallstentに交換、さらに前方に1本追加(図6)。
合併症:シリコンステントで喀痰増加、BAL中細胞数増加(3665/μl)、Wallstent留置で前方気管虚脱、ステント前端および内部に肉芽形成(図7)→ヒトの報告に基づき33、APC焼灼+MMC塗布;3ヶ月間は抑制可(図8-10)。現在、follow中(1010日間)。

図4 症例1の初診日。気管陰影ほぼ消失。

図5 症例1の第8病日。自作シリコンステントを頸-胸部気管に留置。

図6 症例1の第371病日。ステント前方再虚脱し、同サイズのWallstentを前方に1本追加。

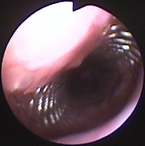
図7 症例1の第475病日。気管支鏡検査所見。ステント前端および内部に反応性肉芽形成。

図8 症例1の第538病日。2週間ごとにマイトマイシンCを肉芽部分に塗布し、肉芽消失。

図9 症例1の第1010病日。アルゴンプラズマ凝固(APC)およびマイトマイシンC(MMC)塗布したが、4ヵ月たつと肉芽再発。

図10 図9と同日、内視鏡で診断後、ただちにAPCおよびMMC塗布し、ただちに気道開存を得た。
症例2 ヨーキー、10歳、オス
主訴 興奮時発作性発咳が止まらない。
診断 気管虚脱+気管気管支軟化症
処置:Ultraflex Diamond留置(図11)
合併症:ステント破損(図12)したが、気管支拡張療法で気管開存(図13)。現在follow中(877日間)。

図11 症例2の第10病日。Ultraflex Diamondを胸部気管に留置。

図12 症例2の第18病日。ステントの破損。

図13 症例2の第45病日。気管支拡張療法の結果、気管が再び開存してきた。
症例3 ヨーキー、5歳10カ月、オス
主訴 喘鳴・呼吸困難。前夜、夜間病院にて気管チューブ挿管にて気道確保され来院。
診断 気管虚脱GradeIV
処置および経過:Tチューブ(8mm)留置し救急処置(図14)。Vet Stent-Tracheaに交換(図15)
合併症:なし(図16)。現在follow中(267日間)。

図14 症例3の初診日、Tチューブ留置。

図15 症例3の第79病日Vet Stent-Tracheaに交換。

図16 症例3の第243病日の気管支鏡所見。Vet Stent-Tracheaを留置後6ヶ月経過するが肉芽形成、細菌感染は全くみられない。
気道内ステント留置法における留意点
気管支軟化症や上気道閉塞合併例では、その治療を先行させ、ステント留置前には正確に気管径の測定を行い、留置後は在宅でネブライゼーション管理と定期的な気管支鏡検査で、早期合併症症対策を行いことが重要と思われる。気道内ステント留置は、手技は容易だが、軽症例に安易に取りかかる治療法ではない。外科療法は、一般的には進行した気管虚脱には侵襲度が高く、重篤な術後合併症を引き起こすこともある34。内科療法をできる限り押し進め、その先が気道内ステント留置であると著者は考えている。
引用文献
1. Montgomery WW: T-Tube Tracheal Stent, Arch Otolaryngol, 82, 320-321 (1965)
2. Dumon JF: A dedicated tracheobronchial stent, Chest, 97, 328-332 (1990)
3. Wallace MJ, Charnsangavej C, Ogawa K, et al: Tracheobronchial tree: expandable metallic stents used in experimental and clinical applications. Work in progress, Radiology, 158, 309-312 (1986)
4. George PJ, Irving JD, Mantell BS, et al: Covered expandable metal stent for recurrent tracheal obstruction, Lancet, 335, 582-584 (1990)
5. Sawada S, Tanigawa N, Kobayashi M, et al: Malignant tracheobronchial obstructive lesions: treatment with Gianturco expandable metallic stents, Radiology, 188, 205-208 (1993)
6. 岡本芳晴, 南三郎, 宮武克行他: 拡張性金属ステントを用いた犬の気管虚脱の治療の試み, 日本獣医師会雑誌, 46, 402-405 (1993)
7. 山根義久: 犬の気管虚脱に対するステントの応用, 獣医麻酔外科学雑誌, 27, 54 (1996)
8. Rousseau H, Dahan M, Lauque D, et al: Self-expandable prostheses in the tracheobronchial tree, Radiology, 188, 199-203 (1993)
9. George PJ, Irving JD, Khaghani A, et al: Role of the Gianturco expandable metal stent in the management of tracheobronchial obstruction, Cardiovasc Intervent Radiol, 15, 375-381 (1992)
10. Muro K, Mizuno H, Yanagihara K, et al: Self-expanding nitinol stents for treatment of tracheobronchial and esophageal stenosis caused by lung cancer, Nippon Kyobu Geka Gakkai Zasshi, 44, 2205-2211 (1996)
11. Gellasch KL, Da Costa Gomez T, McAnulty JF, et al: Use of intraluminal nitinol stents in the treatment of tracheal collapse in a dog, J Am Vet Med Assoc, 221, 1719-1723 (2002)
12. Moritz A, Schneider M, Bauer N: Management of advanced tracheal collapse in dogs using intraluminal self-expanding biliary wallstents, J Vet Intern Med, 18, 31-42 (2004)
13. 岩田和也, 千村収一: 気管内ステント(Ultraflex)を留置した重度気管虚脱の犬の1例, 獣医畜産新報, 60, 216-220 (2007)
14. 城下幸仁, 松田岳人, 佐藤陽子他: 気管気管支軟化症を示す犬の胸部気管に自己拡張型金属ステントUltraflex Diamondの留置を試みた1例, 第28回動物臨床医学会年次大会プロシーディング, 153-155 (2007)
15. Kim JH, Shin JH, Song HY, et al: Use of a retrievable metallic stent internally coated with silicone to treat airway obstruction, J Vasc Interv Radiol, 19, 1208-1214 (2008)
16. Kim JY, Han HJ, Yun HY, et al: The safety and efficacy of a new self-expandable intratracheal nitinol stent for the tracheal collapse in dogs, J Vet Sci, 9, 91-93 (2008)
17. Sun F, Uson J, Ezquerra J, et al: Endotracheal stenting therapy in dogs with tracheal collapse, Vet J, 175, 186-193 (2008)
18. Sura PA, Krahwinkel DJ: Self-expanding nitinol stents for the treatment of tracheal collapse in dogs: 12 cases (2001-2004), J Am Vet Med Assoc, 232, 228-236 (2008)
19. Ouellet M, Dunn ME, Lussier B, et al: Noninvasive correction of a fractured endoluminal nitinol tracheal stent in a dog, J Am Anim Hosp Assoc, 42, 467-471 (2006)
20. Woo HM, Kim MJ, Lee SG, et al: Intraluminal tracheal stent fracture in a Yorkshire terrier, Can Vet J, 48, 1063-1066 (2007)
21. Brown SA, Williams JE, Saylor DK: Endotracheal stent granulation stenosis resolution after colchicine therapy in a dog, J Vet Intern Med, 22, 1052-1055 (2008)
22. Freitag L: Tracheobronchial Stents, In: Bolliger CT, Mathur PN, eds. Interventional Bronchoscopy. Prog Respir Res, 171-186, Karger, Basel (2000)
23. Nakamura T, Shimizu Y, Ito Y, et al: A new thermal shape memory Ti-Ni alloy stent covered with silicone, ASAIO J, 38, M347-350 (1992)
24. Vinograd I, Klin B, Brosh T, et al: A new intratracheal stent made from nitinol, an alloy with "shape memory effect", J Thorac Cardiovasc Surg, 107, 1255-1261 (1994)
25. Radlinsky MG, Fossum TW, Walker MA, et al: Evaluation of the Palmaz stent in the trachea and mainstem bronchi of normal dogs, Vet Surg, 26, 99-107 (1997)
26. Kirby BM, Bjorling DE, Rankin JH, et al: The effects of surgical isolation and application of polypropylene spiral prostheses on tracheal blood flow, Vet Surg, 20, 49-54 (1991)
27. Finglang R, DeHoff W, Birchard S: Surgical management of cervical and thoracic tracheal collapse in dogs using extraluminal spiral prostheses, J Am Anim Hosp Assoc, 23, 163-172 (1987)
28. Finglang R, DeHoff W, Birchard S: Surgical management of cervical and thoracic tracheal collapse in dogs using extraluminal spiral prostheses: Results in seven cases, J Am Anim Hosp Assoc, 23, 173-181 (1987)
29. Hobson HP: Total ring prosthesis for the surgical correction of collapsed trachea, J Am Anim Hosp Assoc, 12, 822-828 (1976)
30. 米澤覚, 矢島信一, 米澤るり子他: 犬の気管虚脱の外科的治療法における新形状プロテーゼの発案, 動物臨床医学, 11, 155-161 (2003)
31. McKiernan B, Miller C, Pineau C: ACVIM Bronchoscopic Stenting Workshop, In: ACVIM, San Antonio, TX(2008)
32. Mittleman E, Weisse C, Mehler SJ, et al: Fracture of an endoluminal nitinol stent used in the treatment of tracheal collapse in a dog, J Am Vet Med Assoc, 225, 1217-1221 (2004)
33. 根岸宏行, 西根広樹, 石川文月他: 気道ステントをめぐる諸問題 pros and cons 肉芽増生による気道狭窄に対するマイトマイシンC局所塗布治療, 気管支学, 29, 14-19 (2004)
34. 田中綾, 清水美希, 島村俊介他: 気管外コイルステントを用いて重度気管虚脱の治療を実施した犬の2例, 第25回動物臨床医学会年次大会プロシーディング, 105-106 (2004)